Kolera


Kolera

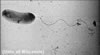
Vibrio cholerae 'nın neden olduğu hastalık.